Abinader sobre Melissa: el evento para varias provincias del sur no ha terminado
El Gobierno mantiene la prevención y la atención porque se prevé que los efectos de Melissa continúen hasta mediados de semana

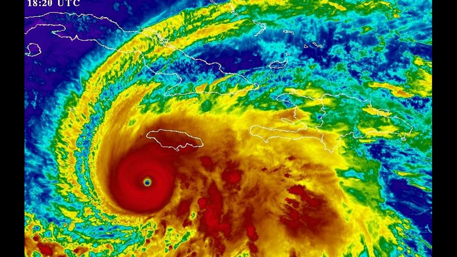
El presidente Luis Abinader advirtió este lunes que los efectos indirectos del huracán Melissa, de categoría 5, continúan afectando a las provincias del sur del país, cuatro de ellas en alerta roja, por lo que el Gobierno mantiene activas las alertas y medidas de prevención.
El mandatario informó que más temprano encabezó una reunión virtual con las gobernadoras de las provincias Barahona, Pedernales, Bahoruco e Independencia, así como de otras en alerta amarilla, para dar seguimiento a la situación y coordinar acciones de respuesta.
"El evento para varias provincias del sur no ha terminado", señaló el mandatario. "Seguimos en fase de prevención y atención, porque los efectos de Melissa continuarán hasta el miércoles", añadió el jefe de Estado.
Recordó que el fenómeno, aunque no ha impactado directamente al país, mantiene una amplia zona de influencia por su gran diámetro, lo que ha provocado lluvias y ráfagas de viento en distintos puntos del territorio nacional.
Vigilancia
También advirtió que las provincias fronterizas del norte deben permanecer bajo vigilancia durante los próximos días.
El presidente destacó que desde el inicio de las alertas, el Gobierno ha ejecutado un operativo denominado PAR (Prevención, Ayuda y Remedio), que incluye medidas preventivas, asistencia durante el evento y acciones de recuperación.
Reseñó que las primeras alertas se emitieron el lunes 20 de octubre, cuando el sistema aún era una onda tropical con potencial ciclónico, y que se adoptaron medidas inmediatas como la suspensión de docencia y labores en las provincias bajo alerta roja a partir del miércoles 22 de octubre.
Posteriormente, la suspensión de clases se extendió a nivel nacional el viernes, "para proteger la vida de los ciudadanos".
"Estas 24 horas de prevención se hicieron para salvar vidas. En este Gobierno, cada vida humana está por encima de cualquier normalidad operativa del país", afirmó Abinader.
El mandatario informó que actualmente cuatro provincias permanecen en alerta roja, ocho en amarilla y doce en verde, según los reportes del Centro de Operaciones de Emergencias (COE) y del Instituto Dominicano de Meteorología (Indomet).
Las provincias en alerta roja son Barahona, Pedernales, Independencia y Bahoruco.
La prevención es prioridad
El presidente llamó a la población a mantenerse atenta a los boletines oficiales y seguir las recomendaciones de las autoridades.
"La prevención sigue siendo nuestra prioridad. Seguiremos acompañando a las comunidades hasta que la situación se normalice", concluyó.



